最新消息!第9号台风“苏拉”已加强为超强台风。但由于近期我国及周边地区的天气形势处于一个“各路神仙来打架”的状态,“苏拉”的移动路径仍存在较多不确定性。但有一件事可以确定:下周的杭州将是雨!雨!雨!
“苏拉”已加强为超强台风
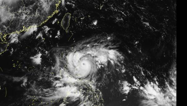
“台风大型连续剧”更新了——今年第9号台风“苏拉”已于昨天(26日)夜间由强台风级加强为超强台风级。
今天(27日)08时台风中心位于距离菲律宾马尼拉东北方向约320公里的洋面上,中心附近最大风力有16级(55米/秒),中心最低气压为930百帕,七级风圈半径220-250公里,十级风圈半径80-100公里,十二级风圈半径50-60公里。

神仙打架!六个天气系统互撕
“苏拉”移动路径难测
未来几天位于台风“苏拉”西北侧的副热带高压非常不稳定。因为台风“苏拉”的东侧还有一个热带云团,在副热带高压的影响下,努力想要成为一个新台风。加上已经生成的10号台风“达维”在影响着副热带高压的强度和势力范围。另外在北方有一次较强的冷空气南下影响过程。最后我国中西部地区还将有一个陆地副热带高压(大陆高压)生成。
所以近期我国及周边地区的天气形势将出现群雄逐鹿的情况。北方冷空气、两个台风、一个台风胚胎,一东一西两个副热带高压,一共有六个天气系统互撕,可以说天气系统处于前所未有的混乱状态。
台风“苏拉”的移动路径也难以预测,目前预测台风“苏拉”走出一个“6”字型的路线然后往台湾、福建而来。

下周起,杭州进入多雨阶段!
天上在“打架”,我们要做好的事情就是:随时关注最近的天气预报,了解天气变化。
但接下来一周,可以明确的是,杭州上空的水汽条件非常好。
首先是冷空气影响下生成的温带气旋,带来西南暖湿气流。再是台风“苏拉”的外围环流以及热带云团的水汽绕了一大圈以后带来东北气流。然后是台风“苏拉”靠近台湾、福建以后的台风环流带来充足的水汽。
所以明天起,杭州进入多雨的阶段,而且雨量还不小。
明天(28日)临安、淳安等地阴有中到大阵雨或雷雨,其它地区多云到阴,中午转阴有阵雨或雷雨,雷雨时部分地区有短时暴雨和7~9级雷雨大风等强对流天气。
后天(29日)全市阴有中阵雨或雷雨,局部大到暴雨;
30日~9月2日基本上都是阴雨天气为主,其中还可能有1-2次强降雨过程。
后天开始,气温断崖式下降。明天最高气温32℃左右,后天开始最高气温都低于30℃,虽然还不是一场秋雨一场寒的状态,但持续阴雨后,在4~5级的东北风吹拂下,8月底到9月初人体感觉有点凉是肯定的。
综合:杭州发布、杭州天气
来源:杭州之声
Copyright © 2001-2026 湖北荆楚网络科技股份有限公司 All Rights Reserved
互联网新闻信息许可证 4212025003 -
增值电信业务经营许可证 鄂B2-20231273 -
广播电视节目制作经营许可证(鄂)字第00011号
信息网络传播视听节目许可证 1706144 -
互联网出版许可证 (鄂)字3号 -
营业执照
鄂ICP备 13000573号-1
鄂公网安备 42010602000206号
版权为 荆楚网 www.cnhubei.com 所有 未经同意不得复制或镜像