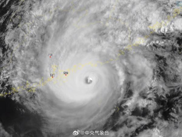
据@中央气象台 消息,“苏拉”有可能成为1949年以来登陆珠三角地区的最强台风。
9月1日14时,超强台风“苏拉”中心附近最大风力17级(58米/秒)。预计,“苏拉”将以每小时10~15公里的速度向西偏北转偏西方向移动,将于今天夜间到明天上午以强台风级或超强台风级 在广东惠东到台山一带沿海登陆,也不排除在广东中部近岸海面向西偏南方向移动的可能。

截至9月1日11点40分,广东省有5个台风红色预警、15个台风橙色预警、24个台风黄色预警、20个台风蓝色预警和21个台风白色预警,共85个台风预警信号生效。

目前,广东汕尾、惠州、深圳等沿海城市陆续宣布实行“五停”。

多所高校发布紧急通知
9月1日,包括华南农业大学、广州大学、深圳大学在内的多所广东高校发布通知,提醒师生注意人身安全。


广州大学:原计划于9月1日、2日报到的2023级学生(含全体本科生、预科班新生和研究生新生),如因天气等原因导致不能按时报到,报到时间可延长至9月3日、4日,报到地点不变 。
深圳大学:请各学院(部)做好学生防台风安全教育,引导已经到校的学生明后两天不要外出,确保安全。同时,通知尚未到校的学生暂不要启程,务必等台风过后再返校报到。
华南农业大学:请全体师生按照学校有关通知要求,做好个人避险防护,确保生命财产安全,齐心协力,共御台风。
进出广东省列车全部停运
广铁集团通报,鉴于今年第9号台风“苏拉”登陆广东,将对广东全省铁路运输造成巨大影响。为确保铁路运输安全,铁路部门决定9月1日20时至9月2日18时,对进出广东省列车全部停运。预计9月2日18时起,逐步恢复京广高铁、南广高铁、贵广高铁、京广普速铁路等线路列车运行。


做好防范,
注意安全!
中国青年报综合:@中央气象台、中国天气、人民日报、各高校官微等。
来源:中国青年报
Copyright © 2001-2026 湖北荆楚网络科技股份有限公司 All Rights Reserved
互联网新闻信息许可证 4212025003 -
增值电信业务经营许可证 鄂B2-20231273 -
广播电视节目制作经营许可证(鄂)字第00011号
信息网络传播视听节目许可证 1706144 -
互联网出版许可证 (鄂)字3号 -
营业执照
鄂ICP备 13000573号-1
鄂公网安备 42010602000206号
版权为 荆楚网 www.cnhubei.com 所有 未经同意不得复制或镜像