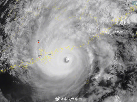
“苏拉”有可能成为1949年以来登陆珠三角地区的最强台风!9月1日下午14时,超强台风“苏拉”中心附近最大风力17级(58米/秒)。预计,“苏拉”将以每小时10~15公里的速度向西偏北转偏西方向移动,将于今天夜间到明天上午以强台风级或超强台风级在广东惠东到台山一带沿海登陆,也不排除在广东中部近岸海面向西偏南方向移动的可能。(中央气象台)



来源:广州日报
Copyright © 2001-2026 湖北荆楚网络科技股份有限公司 All Rights Reserved
互联网新闻信息许可证 4212025003 -
增值电信业务经营许可证 鄂B2-20231273 -
广播电视节目制作经营许可证(鄂)字第00011号
信息网络传播视听节目许可证 1706144 -
互联网出版许可证 (鄂)字3号 -
营业执照
鄂ICP备 13000573号-1
鄂公网安备 42010602000206号
版权为 荆楚网 www.cnhubei.com 所有 未经同意不得复制或镜像